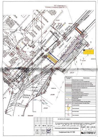
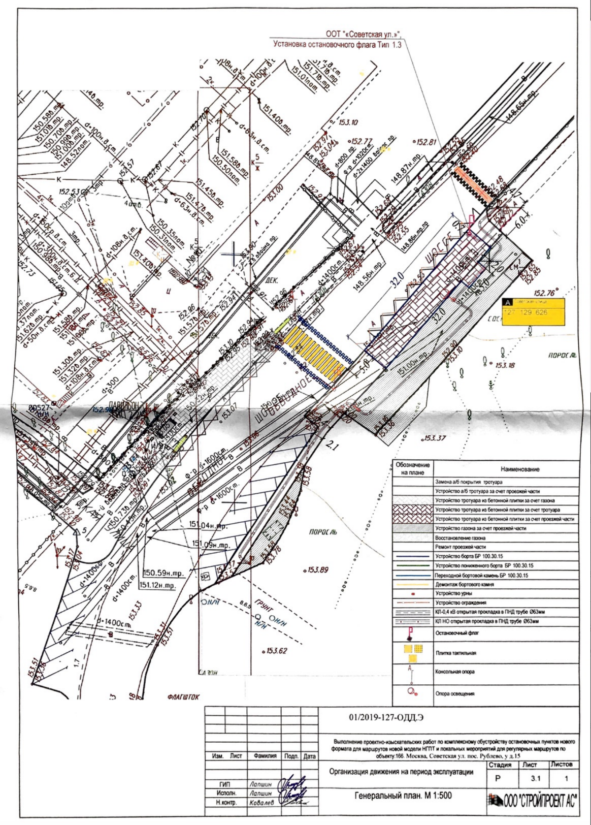
Проект реконструкции остановочного павильона Советская 2019 г.
Тип статьи:
Авторская
В рамках проекта планируется:
- Замена асфальто-бетонного (а/б) покрытия.
- Устройство а/б покрытия за счёт газона.
- Устройство тротуара из бетонной плитки
- Устройство газона за счёт проезжей части.
- Восстановление газона.
Файл:
