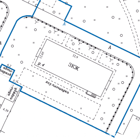
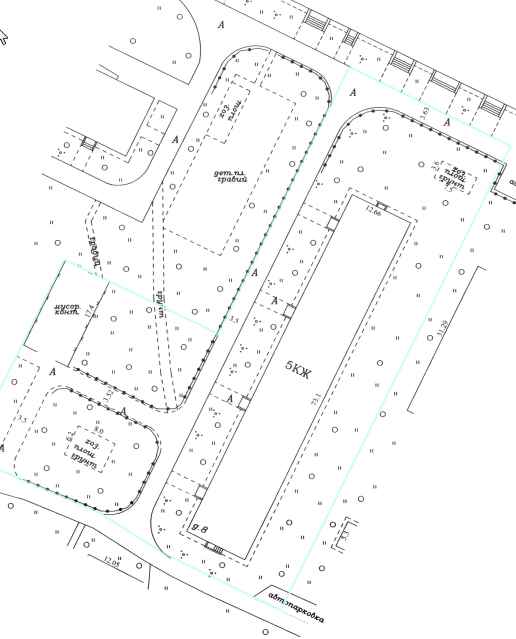
Статьи О Рублёво Нормативные документы Межевание Рублёво Планы земельных участков 0 Планы земельных участков Все Рецензии Переводы Выбор редакции Рейтинг Обводное шоссе ул. Советская ул. Василия Ботылева Новорублёвская 2-я Новорублёвская Показать фильтр Закрыть Заголовок Тип статьи АвторскаяРецензияПеревод План земельного участка ТБТИ: Василия Ботылева, 4 (ТП отсутствует) межевание, ботылев василий, технический паспорт, тбти — 11.01.2017 2370 Alekseev Alexey 0 План земельного участка ТБТИ: Обводное 6 межевание, пзу, технический паспорт, тбти, обводное шоссе — 25.11.2016 2050 Alekseev Alexey 0 План земельного участка ТБТИ: Советская 7 межевание, пзу, технический паспорт, тбти, советская 7 — 23.11.2015 2096 Alekseev Alexey 0 План земельного участка ТБТИ: Советская 13 межевание, пзу, технический паспорт, тбти, советская 13 — 17.11.2015 2407 Alekseev Alexey 0 План земельного участка ТБТИ: Обводное шоссе 2 межевание, обводное шоссе, обводное шоссе 2, пзу, тбти, технический паспорт — 17.11.2015 2524 Alekseev Alexey 0 План земельного участка ТБТИ: Обводное шоссе 8 межевание, обводное шоссе, обводное шоссе 8, пзу, тбти, технический паспорт — 17.11.2015 2335 Alekseev Alexey 0